

Viburnum lantana - Viburno-lantana


Viburnum lantana - Viburno-lantana


Viburnum lantana - Viburno-lantana


Viburnum lantana - Viburno-lantana


Viburnum lantana - Viburno-lantana
Viburnum lantana - Viburno-lantana
Viburnum lantana
Viburno-lantana , Viburno-de-folhas-largas , Viorneira
Entrega ao domicílio ou em ponto de recolha (dependendo do tamanho e do destino)
Programe a data da sua entrega,
e escolha a data no carrinho
Garantia de devolução de 24 meses nesta planta
Mais informações
Garantimos a qualidade das nossas plantas durante um ciclo vegetativo completo.
Substituímos, a nosso custo, qualquer planta que não tenha bem recuperado e desenvolvido em condições climáticas e de plantação normais.

Esta planta é adequada para o meu jardim?
Crio o meu perfil Plantfit →
Descrição
O Viburnum lantana, comumente designado por Folhado ou Viburno-lantana, é um arbusto comum em sebes campestres e orlas de bosques em grande parte do nosso país, desde o Norte até ao Algarve e aos Pirenéus Orientais. Extremamente resistente, rústico e pouco exigente, não deixa, no entanto, de ter o seu encanto: os seus rebentos jovens são lanosos, a sua floração primaveril branco-creme é generosa, perfumada e melífera, os seus bonitos frutos vermelhos que ficam negros são um festim para as aves e a sua folhagem incendeia-se no outono antes de cair. O folhado merece ser plantado num jardim que deixe espaço para a natureza. Pode ser instalado numa sebe campestre com macieiras ornamentais, lilases ou jasmim-dos-poetas, por exemplo.
Originário da Europa Central e Meridional, da Ásia Ocidental e do Norte de África, o Viburnum lantana é conhecido regionalmente como folhado, viburno-lantana ou lódão-bastardo. Trata-se de um arbusto de bosques claros e matos, que cresce frequentemente em solos calcários a altitudes inferiores a 1600 m. Pertence à família das Caprifoliaceae, tal como a madressilva.
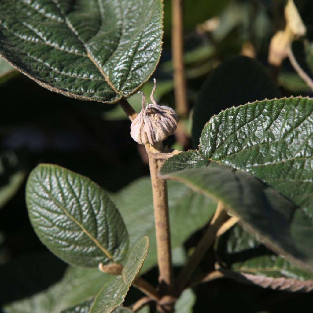
O folhado é um arbusto de porte arbustivo / arredondado, com cerca de 3 m de altura e 2 a 3 m de largura em média, consoante as condições de cultivo. O seu porte é simultaneamente erecto, aberto, compacto e arredondado. A floração, que ocorre de abril a junho, é abundante e apresenta-se na extremidade dos ramos do ano anterior. As umbelas arredondadas e achatadas, com 4 a 10 centímetros de diâmetro, são compostas por flores brancas de 5 mm que possuem estames salientes e amarelos. Esta floração perfumada é seguida por uma frutificação em cachos, bastante original, que se pode apreciar de setembro a dezembro. Os frutos são esféricos, medem 8 mm de diâmetro e passam sucessivamente do rosa ao vermelho e depois ao negro na maturação. Atraem aves, que virão alegrar os dias mais curtos e tristes do ano. A folhagem, caduca, verde-acinzentada na rebentação e depois mais escura, contrasta bem com as flores. As grandes folhas pendentes, espessas e rugosas, são ovais e finamente dentadas, com a página inferior coberta por uma penugem. Cada uma mede até 10 cm de comprimento e 6 cm de largura. As cores outonais, frequentemente esplêndidas, variam de ano para ano: dependem, sem dúvida, das condições climáticas e da natureza do solo. Os ramos jovens, de aspeto lanoso, são flexíveis e cobertos de pequenos pêlos estrelados; com o tempo, adquirem uma coloração mais acinzentada.
Rústico bem além dos -15°C, o Viburnum lantana adapta-se a numerosas condições de cultivo, de norte a sul do país. Utiliza-se em sebes informais, em maciços ou em bosquetes. Plante-se numa zona de passagem para usufruir ao máximo do seu perfume (perto de um caminho, num canto da casa ou perto da entrada do jardim, por exemplo). Este arbusto pouco exigente permite criar uma autêntica atmosfera campestre em companhia de outras plantas indígenas, como a nespereira, o bonete-dos-judeus, a aveleira, o abrunheiro-bravo, assim como algumas plantas do mesmo género: viperinas, cardos, cardos-gigantes, verbascos, salva-dos-prados ou salva-dos-bosques...
{$dispatch("open-modal-content", "#customer-report");}, text: "Please login to report the error." })' class="flex justify-end items-center gap-1 mt-8 mb-12 text-sm cursor-pointer" > Solicitar correção de erro no conteúdo desta página
Viburnum lantana - Viburno-lantana em imagens...






Hábito
Floração
Folhagem
Botânica
Viburnum
lantana
Caprifoliaceae
Viburno-lantana , Viburno-de-folhas-largas , Viorneira
Europa Ocidental
Outros Viburnum
Ver tudo →Plantação e cuidados
O Viburnum lantana desenvolve-se bem em situações de sol pleno ou meia-sombra. Plante-se de março a junho e de setembro a dezembro (fora de períodos de geada ou seca), num solo comum, bastante profundo, de preferência calcário a neutro. Crie uma boa drenagem em solos realmente compactos (misture ao solo do jardim substrato, cascalho ou areia de rio) e enriqueça com composto ao longo de vários anos se o substrato for particularmente pobre e pedregoso. Uma vez bem estabelecida, esta espécie de viburno muito rústico tolera bem a seca estival, mesmo em regiões quentes e secas. Pode-se podar ligeiramente logo após a floração, removendo as flores murchas para manter uma forma compacta, o que também eliminará os frutos.
Quando plantar?
Para que local?
Cuidados
Este artigo ainda não recebeu avaliações; seja o primeiro a partilhar a sua experiência.
Artigos semelhantes
Não encontrou o que procurava?
A rusticidade é a temperatura mais baixa do inverno que uma planta pode suportar sem sofrer danos graves ou mesmo morrer. No entanto, esta rusticidade é afetada pela localização (zona abrigada, como um pátio), pelas proteções (cobertura de inverno) e pelo tipo de solo (a rusticidade é melhorada por um solo bem drenado).
Condições Gerais de Utilização do Serviço Fotos do Cliente
Com o objetivo de promover a interação e a partilha de experiências entre jardineiros, a Promesse de fleurs oferece vários serviços que permitem o envio de conteúdos para o seu Site, nomeadamente através do módulo «Partilha de fotos».
O Utilizador compromete-se a não:
- Publicar qualquer conteúdo ilegal, prejudicial, ofensivo, racista, que incite ao ódio, revisionista, contrário aos bons costumes, que viole a privacidade ou os direitos privados de terceiros, nomeadamente o direito à imagem de pessoas e bens, o direito de propriedade intelectual ou o direito ao respeito pela privacidade
- Depositar conteúdos em nome de terceiros
- Usurpar a identidade de terceiros e/ou publicar qualquer informação pessoal de terceiros
De um modo geral, o Utilizador compromete-se a abster-se de qualquer comportamento contrário à ética
Todos os Conteúdos (nomeadamente textos, comentários, ficheiros, imagens, fotografias, vídeos, obras, etc.), eventualmente sujeitos a direitos de propriedade, propriedade intelectual, direito à imagem ou outro direito privado, permanecem propriedade do Utilizador, sem prejuízo dos direitos limitados concedidos pela licença definida abaixo à Promesse de fleurs. Os Utilizadores são livres de publicar ou não tais Conteúdos no Site, nomeadamente através do serviço «Partilha de fotos», e aceitam que esses Conteúdos se tornem públicos e livremente acessíveis, nomeadamente na Internet.
Eles reconhecem, comprometem-se e garantem que dispõem de todos os direitos e autorizações necessários para tal publicação no Site, nomeadamente ao abrigo da legislação em vigor e dos direitos ao respeito pela privacidade, propriedade, propriedade intelectual, imagem, contratos ou de qualquer outra natureza. Ao publicar no Site, os Utilizadores estão cientes de que assumem a responsabilidade como editores do Conteúdo nos termos da lei e concedem à Promesse de fleurs, durante todo o período de publicação, uma licença não exclusiva, gratuita e mundial sobre o referido Conteúdo, incluindo os direitos de reprodução, representação, carregamento, exibição, execução, transmissão e armazenamento.
Os Utilizadores também autorizam que o seu nome seja associado ao Conteúdo e aceitam que essa associação nem sempre seja feita.
Ao publicarem, os Utilizadores autorizam que um Conteúdo se torne automaticamente acessível na Internet, nomeadamente noutros sites e/ou blogs e/ou páginas web do site Promesse de fleurs, incluindo, nomeadamente, as páginas das redes sociais e o catálogo da Promesse de fleurs.
Os utilizadores podem solicitar livremente a remoção dos conteúdos confiados, contactando o serviço de apoio ao cliente através do formulário de contacto.
Os períodos de sementeira indicados no nosso site aplicam-se aos países e regiões situados na zona 8 da USDA (França, Reino Unido, Irlanda, Países Baixos).
Em regiões mais frias (Escandinávia, Polónia, Áustria...), adie a sementeira ao ar livre por 3 a 4 semanas ou semeie em estufa.
Em climas mais quentes (Itália, Espanha, Grécia, etc.), antecipe a sementeira ao ar livre de algumas semanas.
O período de colheita indicado no nosso site aplica-se aos países e regiões da zona 8 do USDA (França, Inglaterra, Irlanda, Países Baixos).
Em regiões mais frias (Escandinávia, Polónia, Áustria...), a colheita de frutas e legumes provavelmente ocorrerá 3 a 4 semanas mais tarde.
Em regiões mais quentes (Itália, Espanha, Grécia, etc.), a colheita provavelmente ocorrerá mais cedo, dependendo das condições meteorológicas.
O período de plantação indicado no nosso site aplica-se aos países e regiões localizados na zona 8 do USDA (França, Reino Unido, Irlanda, Países Baixos).
Ele irá variar de acordo com o seu local de residência:
- Nas zonas mediterrânicas (Marselha, Madrid, Milão, etc.), o outono e o inverno são as melhores épocas para plantar.
- Nas zonas continentais (Estrasburgo, Munique, Viena, etc.), adie a plantação de 2 a 3 semanas na primavera e antecipe-a de 2 a 4 semanas no outono.
- Nas regiões montanhosas (Alpes, Pirenéus, Cárpatos, etc.), é preferível plantar no final da primavera (maio-junho) ou no final do verão (agosto-setembro).
Em climas temperados, a poda de arbustos com floração na primavera (forsythia, espireia, etc.) deve ser feita logo após a floração.
A poda dos arbustos com floração no verão (amargoseira, perovskia, etc.) pode ser feita no inverno ou na primavera.
Em regiões frias, bem como para plantas sensíveis ao gelo, evite podar muito cedo, quando ainda podem ocorrer geadas fortes.
The flowering period indicated on our website applies to countries and regions located in USDA zone 8 (France, the United Kingdom, Ireland, the Netherlands, etc.)
It will vary according to where you live:
- In zones 9 to 10 (Italy, Spain, Greece, etc.), flowering will occur about 2 to 4 weeks earlier.
- In zones 6 to 7 (Germany, Poland, Slovenia, and lower mountainous regions), flowering will be delayed by 2 to 3 weeks.
- In zone 5 (Central Europe, Scandinavia), blooming will be delayed by 3 to 5 weeks.
















