

Arónia Lowberry® Little Helpers®


Arónia Lowberry® Little Helpers®
Arónia Lowberry® Little Helpers®
Aronia x prunifolia Lowberry® 'Little Helpers®'
Aronie à gros fruits
Apaixone-se por outras variedades semelhantes em stock
Ver tudo →Garantia de devolução de 6 meses nesta planta
Mais informações
Garantimos a qualidade das nossas plantas durante um ciclo vegetativo completo.
Substituímos, a nosso custo, qualquer planta que não tenha bem recuperado e desenvolvido em condições climáticas e de plantação normais.

Descrição
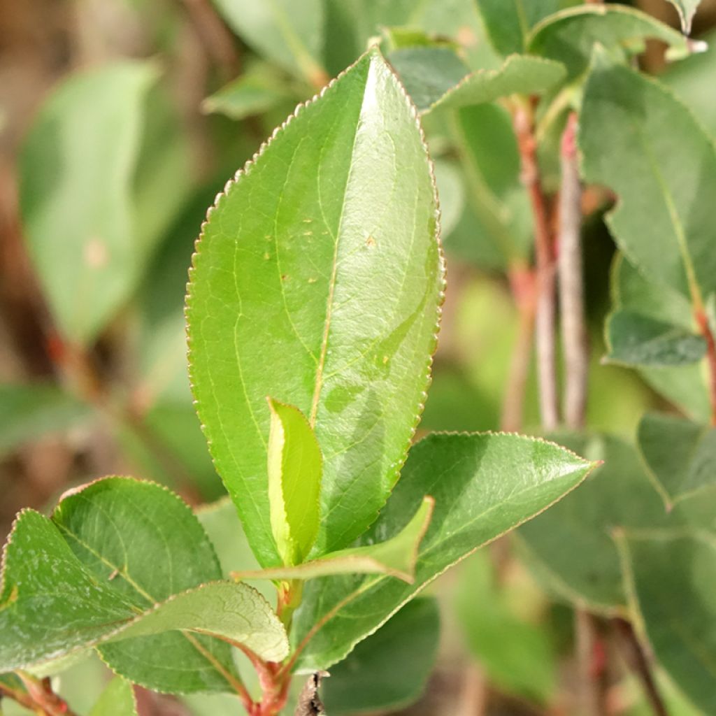
A Aronia Lowberry® 'Little Helpers®' é uma variedade de aronia de crescimento naturalmente compacto, que não ultrapassa os 80 cm de altura na maturidade, mas que proporciona rendimento elevado. Autofértil, o arbusto dispensa polinização cruzada e é um excelente exemplar para vaso na varanda ou no terraço. As suas bagas, de cor negro violáceo, evocam a groselha-preta ou o mirtilo, têm um ligeiro sabor acidulado, mas claramente menos acentuado do que noutras variedades e são também menos adstringentes. Muito consumidas na Ásia, são ricas em antocianinas, vitaminas e antioxidantes. Colhem‑se em setembro-outubro.
A Aronia Lowberry 'Little Helpers' possui genes de Aronia melanocarpa, a aronia de frutos negros, e de Aronia arbutifolia, a aronia de folhas semelhantes às do medronheiro. É atualmente cultivada de forma intensiva nos países do Leste da Europa para responder à procura do mercado asiático. Originárias do Canadá e do nordeste dos Estados Unidos, as aronias são plantas muito resistentes ao frio que apreciam solos frescos e ligeiramente ácidos. A aronia é um parente distante das roseiras, das ameixeiras e das silvas, um membro da imensa família das Rosáceas.
'Little Helpers' é uma forma tão compacta que não ultrapassa os 60 a 80 cm de altura após 5 anos, com uma largura semelhante. É um arbusto erecto, pouco ramificado e de porte aberto. A sua casca é lisa, de cor castanho-avermelhada. Apresenta folhas alternas, simples, ovais, finamente serrilhadas, de 4 a 5 cm de comprimento, de um verde-escuro acetinado, que se tornam verdadeiramente flamejantes no outono em tons vermelho-alaranjados. Em abril-maio aparecem as suas flores brancas, salpicadas de rosa-pálido, com 2 cm de diâmetro. Reunidas em corimbos, são muito numerosas, muito perfumadas, e muito melíferas. Dão lugar a cachos de frutos redondos, de 1,5 cm de diâmetro, de cor verde-púrpura, que se tornam negro violáceo e brilhantes, enquanto os pedúnculos que os sustentam se tornam avermelhados. Esta frutificação, de sabor ligeiramente acidulado e amargo, tem nesta variedade açúcar suficiente para atenuar a amargura. As aves adoram-nas; é preferível cobrir o arbusto com uma rede de proteção para aproveitar a colheita.
A Aronia Lowberry 'Little Helpers' é perfeita para o cultivo em vaso, mas adapta-se também muito bem à plantação em plena terra, numa bordadura de vivazes e arbustos. Recomenda-se a plantação em mini-sebe frutífera, em grupos de 3 exemplares, com outros arbustos de bagas compactos, e com plantas aromáticas. Pouco exigente, dá o melhor de si em solo fresco, profundo e não calcário, ligeiramente ácido.
As bagas da aronia consomem-se frescas, cozinhadas, em compota ou em sumo, que pode misturar-se, por exemplo, com sumo de arando-vermelho e sumo de maçã. A farmacopéia chinesa atribui às bagas desta variedade frutífera de Aronia 'Little Helpers' virtudes medicinais e propriedades benéficas para a saúde humana. A riqueza em polifenóis, nomeadamente em antocianinas, em vitaminas B e C (3 vezes mais do que a laranja), em minerais e em fibras, faz da baga da aronia um dos pequenos frutos mais interessantes do ponto de vista nutricional.
{$dispatch("open-modal-content", "#customer-report");}, text: "Please login to report the error." })' class="flex justify-end items-center gap-1 mt-8 mb-12 text-sm cursor-pointer" > Solicitar correção de erro no conteúdo desta página
Hábito
Fruta
Floração
Folhagem
Botânica
Aronia
x prunifolia
Lowberry® 'Little Helpers®'
Rosaceae
Aronie à gros fruits
América do Norte
Outros Aronia
Ver tudo →Plantação e cuidados
A Aronia 'Little Helpers' planta-se de preferência no início do outono numa boa terra de jardim fértil, humífera e não calcária. Embora seja relativamente tolerante, prefere solos profundos, frescos a húmidos, leves, e ligeiramente ácidos. Planta-se em exposição ensolarada, sem sol abrasador, ou em meia-sombra. Na sombra, as cores ficam mais baças e a frutificação é menos abundante e menos saborosa. A rusticidade deste arbusto é excelente, mesmo em solo húmido. Recomenda-se cobrir o solo com uma camada de matéria orgânica e regar bem para ajudar a estabelecer-se, especialmente nos primeiros verões. Deve-se eliminar os rebentos em excesso que prejudicam a frutificação. Pode-se podar os ramos mais antigos no final do inverno. É naturalmente resistente a doenças e pragas, mas por vezes pode ser afetado pela ferrugem.
Quando plantar?
Para que local?
Cuidados
Este artigo ainda não recebeu avaliações; seja o primeiro a partilhar a sua experiência.
Não encontrou o que procurava?
A rusticidade é a temperatura mais baixa do inverno que uma planta pode suportar sem sofrer danos graves ou mesmo morrer. No entanto, esta rusticidade é afetada pela localização (zona abrigada, como um pátio), pelas proteções (cobertura de inverno) e pelo tipo de solo (a rusticidade é melhorada por um solo bem drenado).
Condições Gerais de Utilização do Serviço Fotos do Cliente
Com o objetivo de promover a interação e a partilha de experiências entre jardineiros, a Promesse de fleurs oferece vários serviços que permitem o envio de conteúdos para o seu Site, nomeadamente através do módulo «Partilha de fotos».
O Utilizador compromete-se a não:
- Publicar qualquer conteúdo ilegal, prejudicial, ofensivo, racista, que incite ao ódio, revisionista, contrário aos bons costumes, que viole a privacidade ou os direitos privados de terceiros, nomeadamente o direito à imagem de pessoas e bens, o direito de propriedade intelectual ou o direito ao respeito pela privacidade
- Depositar conteúdos em nome de terceiros
- Usurpar a identidade de terceiros e/ou publicar qualquer informação pessoal de terceiros
De um modo geral, o Utilizador compromete-se a abster-se de qualquer comportamento contrário à ética
Todos os Conteúdos (nomeadamente textos, comentários, ficheiros, imagens, fotografias, vídeos, obras, etc.), eventualmente sujeitos a direitos de propriedade, propriedade intelectual, direito à imagem ou outro direito privado, permanecem propriedade do Utilizador, sem prejuízo dos direitos limitados concedidos pela licença definida abaixo à Promesse de fleurs. Os Utilizadores são livres de publicar ou não tais Conteúdos no Site, nomeadamente através do serviço «Partilha de fotos», e aceitam que esses Conteúdos se tornem públicos e livremente acessíveis, nomeadamente na Internet.
Eles reconhecem, comprometem-se e garantem que dispõem de todos os direitos e autorizações necessários para tal publicação no Site, nomeadamente ao abrigo da legislação em vigor e dos direitos ao respeito pela privacidade, propriedade, propriedade intelectual, imagem, contratos ou de qualquer outra natureza. Ao publicar no Site, os Utilizadores estão cientes de que assumem a responsabilidade como editores do Conteúdo nos termos da lei e concedem à Promesse de fleurs, durante todo o período de publicação, uma licença não exclusiva, gratuita e mundial sobre o referido Conteúdo, incluindo os direitos de reprodução, representação, carregamento, exibição, execução, transmissão e armazenamento.
Os Utilizadores também autorizam que o seu nome seja associado ao Conteúdo e aceitam que essa associação nem sempre seja feita.
Ao publicarem, os Utilizadores autorizam que um Conteúdo se torne automaticamente acessível na Internet, nomeadamente noutros sites e/ou blogs e/ou páginas web do site Promesse de fleurs, incluindo, nomeadamente, as páginas das redes sociais e o catálogo da Promesse de fleurs.
Os utilizadores podem solicitar livremente a remoção dos conteúdos confiados, contactando o serviço de apoio ao cliente através do formulário de contacto.
Os períodos de sementeira indicados no nosso site aplicam-se aos países e regiões situados na zona 8 da USDA (França, Reino Unido, Irlanda, Países Baixos).
Em regiões mais frias (Escandinávia, Polónia, Áustria...), adie a sementeira ao ar livre por 3 a 4 semanas ou semeie em estufa.
Em climas mais quentes (Itália, Espanha, Grécia, etc.), antecipe a sementeira ao ar livre de algumas semanas.
O período de colheita indicado no nosso site aplica-se aos países e regiões da zona 8 do USDA (França, Inglaterra, Irlanda, Países Baixos).
Em regiões mais frias (Escandinávia, Polónia, Áustria...), a colheita de frutas e legumes provavelmente ocorrerá 3 a 4 semanas mais tarde.
Em regiões mais quentes (Itália, Espanha, Grécia, etc.), a colheita provavelmente ocorrerá mais cedo, dependendo das condições meteorológicas.
O período de plantação indicado no nosso site aplica-se aos países e regiões localizados na zona 8 do USDA (França, Reino Unido, Irlanda, Países Baixos).
Ele irá variar de acordo com o seu local de residência:
- Nas zonas mediterrânicas (Marselha, Madrid, Milão, etc.), o outono e o inverno são as melhores épocas para plantar.
- Nas zonas continentais (Estrasburgo, Munique, Viena, etc.), adie a plantação de 2 a 3 semanas na primavera e antecipe-a de 2 a 4 semanas no outono.
- Nas regiões montanhosas (Alpes, Pirenéus, Cárpatos, etc.), é preferível plantar no final da primavera (maio-junho) ou no final do verão (agosto-setembro).
Em climas temperados, a poda de arbustos com floração na primavera (forsythia, espireia, etc.) deve ser feita logo após a floração.
A poda dos arbustos com floração no verão (amargoseira, perovskia, etc.) pode ser feita no inverno ou na primavera.
Em regiões frias, bem como para plantas sensíveis ao gelo, evite podar muito cedo, quando ainda podem ocorrer geadas fortes.
The flowering period indicated on our website applies to countries and regions located in USDA zone 8 (France, the United Kingdom, Ireland, the Netherlands, etc.)
It will vary according to where you live:
- In zones 9 to 10 (Italy, Spain, Greece, etc.), flowering will occur about 2 to 4 weeks earlier.
- In zones 6 to 7 (Germany, Poland, Slovenia, and lower mountainous regions), flowering will be delayed by 2 to 3 weeks.
- In zone 5 (Central Europe, Scandinavia), blooming will be delayed by 3 to 5 weeks.










