

Carvalho-roble Purpurea - Quercus petraea


Carvalho-roble Purpurea - Quercus petraea


Carvalho-roble Purpurea - Quercus petraea
Carvalho-roble Purpurea - Quercus petraea
Quercus petraea Purpurea
Carvalho-roble
Apaixone-se por outras variedades semelhantes em stock
Ver tudo →Garantia de devolução de 24 meses nesta planta
Mais informações
Garantimos a qualidade das nossas plantas durante um ciclo vegetativo completo.
Substituímos, a nosso custo, qualquer planta que não tenha bem recuperado e desenvolvido em condições climáticas e de plantação normais.
Esta planta é adequada para o meu jardim?
Crio o meu perfil Plantfit →
Descrição
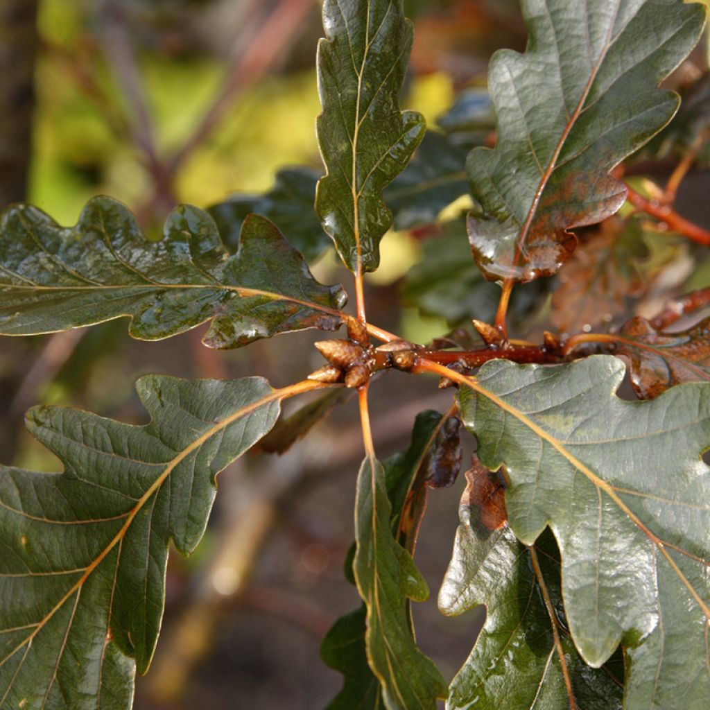
O Quercus petraea 'Purpurea' é uma forma púrpura do Carvalho-alvarinho ou carvalho-séssil, muito raro em cultivo. Esta árvore difere do tipo pela sua crescência ainda mais lenta e pela sua magnífica folhagem que vai do cinza ao púrpura e ao verde arroxeado. Dotado de um tronco maciço, apresenta uma copa larga e ramos grossos e tortuosos situados na parte inferior do tronco. A sua belíssima folhagem caduca proporcionará uma sombra agradável no verão, ainda que sejam as gerações futuras a beneficiar plenamente. Interessante para a pequena fauna, as suas bolotas são um manjar para muitos animais. Uma árvore de coleção que irá deliciar os entusiastas!
O Quercus petraea 'Purpurea' é uma mutação natural do carvalho-séssil. Este último, que também é conhecido, conforme as regiões, pelos nomes de carvalho-alvarinho, carvalho-das-pedreiras, carvalho-macho ou carvalho-negro, pertence à família das Fagáceas. É originário de grande parte da Europa temperada, muito presente em França, com exceção da zona mediterrânica e do extremo sudoeste. Aprecia climas do tipo sub-atlântico a atlântico, ou continentais, sem excessos e não demasiado secos. É uma espécie espontânea de colinas e de montanhas baixas, onde se encontra até aos 1600 m de altitude. Mais tolerante que o carvalho-alvarinho-pedunculado, capaz de crescer em solos pedregosos, ligeiramente calcários e pontualmente secos, prefere, no entanto, solos limo-arenosos com tendência neutra ou ácida, frescos, profundos e filtrantes.
O Quercus petraea 'Purpurea' cresce lentamente. Em adulto, atinge geralmente 15 m de altura. Em teoria, este carvalho pode viver vários séculos. Os carvalhos caducifólios oferecem a vantagem de produzir um bom e abundante húmus, favorável ao crescimento de plantas que germinam sob a sua copa. O seu porte é bastante maciço, um pouco menos largo do que alto. O tronco, bastante curto, é coberto por uma casca inicialmente verde e lisa, que depois se torna escura, espessa e ligeiramente fendida. A copa tem uma forma irregular, oval, arredondada e aberta. Os seus ramos jovens são glabros, de cor cinza-acastanhada, brilhantes. A folhagem, caduca tardiamente, é composta por folhas com pecíolo longo, alternas, moles, obovais, podendo atingir 5 a 15 cm de comprimento por 3 a 8 cm de largura. Cada uma está dividida em 9 a 12 lóbulos arredondados pouco marcados e irregulares, separados por seios relativamente profundos. A cor do limbo passa do cinza ao púrpura e depois ao verde arroxeado, sendo a página inferior mais pálida. As folhas tornam-se castanhas, bastante tardiamente no outono, e permanecem um pouco agarradas aos ramos antes de caírem. A floração deste carvalho ocorre em abril-maio, pouco após o aparecimento da folhagem, nos rebentos anuais. As flores femininas estão colocadas numa cúpula diretamente ligada ao ramo: esta característica distintiva está na origem do nome da espécie, séssil. As inflorescências masculinas são amentilhos alongados, pendentes, com tons amarelados. São produzidos na base dos rebentos anuais. As flores femininas, na axila das folhas, dão lugar a bolotas de forma ovoide e alongada, com 1,5 a 3 cm de comprimento. Estão frequentemente agrupadas de 2 ou 3, diretamente nos ramos. Uma cúpula coberta de escamas recobre um terço da bolota. A cor evolui do verde para o castanho na maturação, em setembro e outubro. O sistema radicular desta árvore é profundo e poderoso, do tipo pivotante e muito estendido, assegurando assim uma fixação sólida e duradoura em solos profundos e arenosos.
O carvalho-alvarinho púrpura é uma árvore que se tornará a peça central de um parque ou de um grande jardim. Deve ser plantado de forma isolada. Magnífico em folhagem, oferece a vantagem de proporcionar uma sombra agradável. Sendo caducifólio, restituirá a luz no inverno. Os seus frutos alimentam pequenos animais como esquilos e gaios. Para o acompanhar, pode escolher um bordo-campestre variegado 'Carnival', um plátano 'El Gordo', uma tília 'Greenspire'. O sistema radicular dos carvalhos, bastante profundo, permite a instalação de plantas à sua volta: pense, por exemplo, nas acantos, Trachystemon orientalis, pervincas, ciclames-de-nápoles, Liriope muscari...
{$dispatch("open-modal-content", "#customer-report");}, text: "Please login to report the error." })' class="flex justify-end items-center gap-1 mt-8 mb-12 text-sm cursor-pointer" > Solicitar correção de erro no conteúdo desta página
Hábito
Floração
Folhagem
Botânica
Quercus
petraea
Purpurea
Fagaceae
Carvalho-roble
Quercus petraea f. purpurea
Europa Ocidental
Outros Carvalhos - Quercus
Ver tudo →Plantação e cuidados
O Quercus petraea 'Purpurea' cresce em solo comum, mas profundo, fresco em profundidade, de preferência filtrante, arenoso e limoso, neutro ou ligeiramente ácido. Contudo, é um carvalho acomodatício, capaz de crescer em solos menos favoráveis, argilosos se forem drenantes ou pedregosos e ligeiramente calcários se forem profundos. Não tolera solos encharcados. Uma vez estabelecida, esta árvore de raízes profundas suporta verões relativamente secos e dispensa totalmente a rega. Este carvalho adapta-se praticamente em todo o lado, exceto em zonas de clima mediterrânico e no extremo sudoeste. Aprecia terras frescas, mas drenadas, onde o seu crescimento será mais rápido. Prefere exposições soalheiras e bem desimpedidas. Coloque uma estaca robusta para o ajudar a iniciar o crescimento, acompanhe as regas e depois deixe a natureza seguir o seu curso. É uma árvore que, uma vez instalada, necessita de muito pouca manutenção, para além da eliminação da madeira morta. É pouco suscetível a doenças, sendo apenas de recear o oídio na sua folhagem.
Quando plantar?
Para que local?
Cuidados
Este artigo ainda não recebeu avaliações; seja o primeiro a partilhar a sua experiência.
Artigos semelhantes
Não encontrou o que procurava?
A rusticidade é a temperatura mais baixa do inverno que uma planta pode suportar sem sofrer danos graves ou mesmo morrer. No entanto, esta rusticidade é afetada pela localização (zona abrigada, como um pátio), pelas proteções (cobertura de inverno) e pelo tipo de solo (a rusticidade é melhorada por um solo bem drenado).
Condições Gerais de Utilização do Serviço Fotos do Cliente
Com o objetivo de promover a interação e a partilha de experiências entre jardineiros, a Promesse de fleurs oferece vários serviços que permitem o envio de conteúdos para o seu Site, nomeadamente através do módulo «Partilha de fotos».
O Utilizador compromete-se a não:
- Publicar qualquer conteúdo ilegal, prejudicial, ofensivo, racista, que incite ao ódio, revisionista, contrário aos bons costumes, que viole a privacidade ou os direitos privados de terceiros, nomeadamente o direito à imagem de pessoas e bens, o direito de propriedade intelectual ou o direito ao respeito pela privacidade
- Depositar conteúdos em nome de terceiros
- Usurpar a identidade de terceiros e/ou publicar qualquer informação pessoal de terceiros
De um modo geral, o Utilizador compromete-se a abster-se de qualquer comportamento contrário à ética
Todos os Conteúdos (nomeadamente textos, comentários, ficheiros, imagens, fotografias, vídeos, obras, etc.), eventualmente sujeitos a direitos de propriedade, propriedade intelectual, direito à imagem ou outro direito privado, permanecem propriedade do Utilizador, sem prejuízo dos direitos limitados concedidos pela licença definida abaixo à Promesse de fleurs. Os Utilizadores são livres de publicar ou não tais Conteúdos no Site, nomeadamente através do serviço «Partilha de fotos», e aceitam que esses Conteúdos se tornem públicos e livremente acessíveis, nomeadamente na Internet.
Eles reconhecem, comprometem-se e garantem que dispõem de todos os direitos e autorizações necessários para tal publicação no Site, nomeadamente ao abrigo da legislação em vigor e dos direitos ao respeito pela privacidade, propriedade, propriedade intelectual, imagem, contratos ou de qualquer outra natureza. Ao publicar no Site, os Utilizadores estão cientes de que assumem a responsabilidade como editores do Conteúdo nos termos da lei e concedem à Promesse de fleurs, durante todo o período de publicação, uma licença não exclusiva, gratuita e mundial sobre o referido Conteúdo, incluindo os direitos de reprodução, representação, carregamento, exibição, execução, transmissão e armazenamento.
Os Utilizadores também autorizam que o seu nome seja associado ao Conteúdo e aceitam que essa associação nem sempre seja feita.
Ao publicarem, os Utilizadores autorizam que um Conteúdo se torne automaticamente acessível na Internet, nomeadamente noutros sites e/ou blogs e/ou páginas web do site Promesse de fleurs, incluindo, nomeadamente, as páginas das redes sociais e o catálogo da Promesse de fleurs.
Os utilizadores podem solicitar livremente a remoção dos conteúdos confiados, contactando o serviço de apoio ao cliente através do formulário de contacto.
Os períodos de sementeira indicados no nosso site aplicam-se aos países e regiões situados na zona 8 da USDA (França, Reino Unido, Irlanda, Países Baixos).
Em regiões mais frias (Escandinávia, Polónia, Áustria...), adie a sementeira ao ar livre por 3 a 4 semanas ou semeie em estufa.
Em climas mais quentes (Itália, Espanha, Grécia, etc.), antecipe a sementeira ao ar livre de algumas semanas.
O período de colheita indicado no nosso site aplica-se aos países e regiões da zona 8 do USDA (França, Inglaterra, Irlanda, Países Baixos).
Em regiões mais frias (Escandinávia, Polónia, Áustria...), a colheita de frutas e legumes provavelmente ocorrerá 3 a 4 semanas mais tarde.
Em regiões mais quentes (Itália, Espanha, Grécia, etc.), a colheita provavelmente ocorrerá mais cedo, dependendo das condições meteorológicas.
O período de plantação indicado no nosso site aplica-se aos países e regiões localizados na zona 8 do USDA (França, Reino Unido, Irlanda, Países Baixos).
Ele irá variar de acordo com o seu local de residência:
- Nas zonas mediterrânicas (Marselha, Madrid, Milão, etc.), o outono e o inverno são as melhores épocas para plantar.
- Nas zonas continentais (Estrasburgo, Munique, Viena, etc.), adie a plantação de 2 a 3 semanas na primavera e antecipe-a de 2 a 4 semanas no outono.
- Nas regiões montanhosas (Alpes, Pirenéus, Cárpatos, etc.), é preferível plantar no final da primavera (maio-junho) ou no final do verão (agosto-setembro).
Em climas temperados, a poda de arbustos com floração na primavera (forsythia, espireia, etc.) deve ser feita logo após a floração.
A poda dos arbustos com floração no verão (amargoseira, perovskia, etc.) pode ser feita no inverno ou na primavera.
Em regiões frias, bem como para plantas sensíveis ao gelo, evite podar muito cedo, quando ainda podem ocorrer geadas fortes.
The flowering period indicated on our website applies to countries and regions located in USDA zone 8 (France, the United Kingdom, Ireland, the Netherlands, etc.)
It will vary according to where you live:
- In zones 9 to 10 (Italy, Spain, Greece, etc.), flowering will occur about 2 to 4 weeks earlier.
- In zones 6 to 7 (Germany, Poland, Slovenia, and lower mountainous regions), flowering will be delayed by 2 to 3 weeks.
- In zone 5 (Central Europe, Scandinavia), blooming will be delayed by 3 to 5 weeks.















